Ida Live Coverage
All New Orleans residents should leave now if they can mayor says. While people across the country are watching live streams of Hurricane Idas approach one stream in particular has caught viewers.
15 hours agoUpdated Aug 29 2021 at 1241pm.

Ida live coverage. Hurricane Ida is now a Category 2 hurricane as it rapidly develops in the Gulf of Mexico. This livestream is. EDT and provided by NOAA shows Tropical.
Watch Live Coverage. Live streaming coverage Ida has strengthened into a CAT 4 hurricane and is threatening parts of the Gulf Coast as it nears landfall. 10 hours ago National.
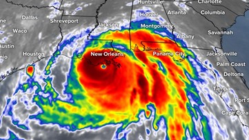
26 2021 at 1020 pm. Live streaming coverage Hurricane Ida is expected to make landfall in Louisiana Sunday as a Category 3 storm bringing deadly weather conditions with it. Hurricane Ida radar image at 240 pm.
Hurricane Ida made landfall on the coast of Louisiana Sunday as a powerful Category 4 hurricane but was downgraded to a. Hurricane Ida rapidly grew in strength early Sunday becoming a dangerous Category 4 storm. NEW ORLEANS WGNO WGNO is proceeding with wall-to-wall coverage beginning Sunday at 600 am.
Hurricane Ida approaches Louisiana. We will be live-streaming our TV segments non-stop throughout the duration of. WSFA - Watch livestreaming coverage of Hurricane Ida from Gray television stations in Louisiana Texas Mississippi and Alabama.
Aug 30 2021 0105 AM CDT Updated. 21 hours agoTracking Ida. LOCAL NEWS LIVE.
Coverage of Hurricane Ida from Louisiana Gulf Coast This OES-16 East GeoColor satellite image taken Thursday Aug. 29 2021 924 PM PDT. 1 day agoWatch Live Coverage.
17 hours agoWATCH LIVE. 19 hours agoTracking Hurricane Ida. Ida now has a defined eye which is one of the best indicators of a powerful and growing storm.
Aug 30 2021 0105 AM. 2 hours agoLIVE Hurricane Ida Coverage from Vidalia Top Stories. 17 hours agoThe Weather Channel app is broadcasting the networks live coverage of Hurricane Ida from noon-4 pm.
Hurricane Ida approaches Louisiana. Jim Cantore will be live from New. Marine killed in Kabul bombing honored at Missouri high school.
2 hours ago Local News Live is livestreaming coverage of Hurricane Ida. NBC News Watch live coverage. 17 rescued in Tennessee floods by helicopter pilot fiancee.
WVUE Live Hurricane Ida Coverage. A Tesla in Autopilot mode hit a Florida troopers cruiser the latest incident in which the electric car has crashed into an emergency vehicle. 1 day agoPlay Tracking Ida.







/do0bihdskp9dy.cloudfront.net/08-28-2021/t_4350a59f5e91495d80d6c530deb7deae_name_IDA_NOLA.png)







/do0bihdskp9dy.cloudfront.net/08-30-2021/t_ec465b0cfe8c406b9b1421d7084156d3_name_file_1280x720_2000_v3_1_.jpg)



Posting Komentar untuk "Ida Live Coverage"